昆虫记-寄生虫

儿童资源网

昆虫记-寄生虫


  这十恶不赦的金蜂并不懂得挖人家墙角的方法,所以只得等到母蜂回家的时候溜进去。你看,一只半绿半粉红的金蜂大摇大摆地走进一个捕蝇蜂的巢。那时,正值母亲带着一些新鲜的食物来看孩子们。于是,这个“侏儒”就堂而皇之地进了“巨人”的家。它一直大摇大摆在走到洞的底端,对捕蝇蜂锐利的刺和强有力的嘴巴似乎丝毫没有惧意。至于那母蜂,不知道是不是不了解金蜂的丑恶行径和名声,还是给吓呆了,竟任它自由进去。来年,如果我们挖开捕蝇蜂的巢看看,就可以看到几个赤褐色的针箍形的茧子,开口处有一个扁平的盖。在这个丝织的摇篮里,躺着的是金蜂的幼虫。至于那个一手造就这坚固摇篮的捕蝇蜂的幼虫呢?它已完全消失了。只剩下了一些破碎的皮屑了。它是怎么消失的?当然是被金蜂的幼虫吃掉了!
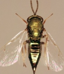
  看看这个外貌漂亮而内心奸恶的金蜂,它身上穿着金青色的外衣,腹部缠着“青铜”和“黄金”织成的袍子,尾部系着一条蓝色的丝带。当一只泥匠蜂筑好了一座弯形的巢,把入口封闭,等里面的幼虫渐渐成长,把食物吃完后,吐着丝装饰着它的屋子的时候,金蜂就在巢外等候机会了。一条细细的裂缝,或是水泥中的一个小孔,都足以让金蜂把它的卵塞进泥匠蜂的巢里去。总之,到了五月底,泥匠蜂的巢里又有了一个针箍形的茧子,从这个茧子里出来的,又是一个口边沾满无辜者的鲜血的金蜂,而泥匠蜂的幼虫,早被金蜂当作美食吃掉了。
  正如我们所知道的那样,蝇类总是扮演强盗或小偷或歹徒的角色。虽然它们看上去很弱小,有时候甚至你用手指轻轻一撞,就可以把它们全部压死。可它们的确祸害不小。有一种小蝇,身上长满了柔软的绒毛,娇软无比,只要你轻轻一摸就会把它压得粉身碎骨,它们脆弱得像一丝雪片,可是当它们飞起来时有着惊人的速度。乍一看,只是一个迅速移动的小点儿。它在空中徘徊着,翅膀震动得飞快,使你看不出它在运动,倒觉得是静止的。好像是被一根看不见的线吊在空中。如果你稍微动一下,它就突然不见了。你会以为它飞到别处去了,怎么找都没有。它到哪儿去了呢?其实,它哪儿都没去,它就在你身边。当你以为它真的不见了的时候,它早就回到原来的地方了。它飞行的速度是如此之快,使你根本看不清它运动的轨迹,那么它又在空中干什么呢?它正在打坏主意,在等待机会把自己的卵放在别人预备好的食物上。我现在还不能断定它的幼虫所需要的是哪一种食物:蜜、猎物,还是其它昆虫的幼虫?
  有一种灰白色的小蝇,我对它比较了解,它蜷伏在日光下的沙地上,等待着抢劫的机会。当各种蜂类猎食回来,有的衔着一只马蝇,有的衔着一只蜜蜂,有的衔着一只甲虫,还有的衔着一只蝗虫。大家都满载而归的时候,灰蝇就上来了,一会儿向前,一会儿向后,一会儿又打着转,总是紧跟着蜂,不让它从自己的眼皮底下溜走。当母蜂把猎物夹在腿间拖到洞里去的时候,它们也准备行动了。就在猎物将要全部进洞的那一刻,它们飞快地飞上去停在猎物的末端,产下了卵。就在那一眨眼的工夫里,它们以迅雷不及掩耳之势完成了任务。母蜂还没有把猎物拖进洞的时候,猎物已带着新来的不速之客的种子了,这些“坏种子”变成虫子后,将要把这猎物当作成长所需的食物,而让洞的主人的孩子们活活饿死。